Tìm kiếm
Phòng đấu giá của bạn
Quyền sử dụng đất và tài sản gắn liền với đất tại thửa đất số 2340, tờ bản đồ số 03; địa chỉ: xã An Phú, tỉnh Quảng Ngãi
Mã tài sản : RV7780
Giá khởi điểm
1.782.000.000 VND
Tiền đặt cược
356 triệu 400 nghìn VND
Phí tham gia
400 nghìn VND
Bước giá
10 triệu VND
Phương thức đấu giá
Đấu giá lên
Thời hạn đăng ký
12/09/2025 17:00
Thời gian bắt đầu đấu giá
17/09/2025 09:30
Thời gian kết thúc đấu giá
17/09/2025 10:00
Giá đấu trúng
1.782.000.000 VND
Mô tả
|Quy chế đấu giá
|Hồ sơ pháp lý
|Hỏi - đáp

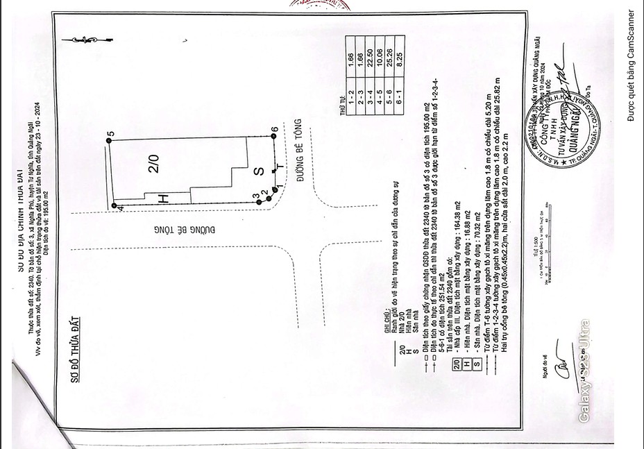
Quyền sử dụng đất và tài sản gắn liền với đất tại thửa đất số 2340, tờ bản đồ số 03; địa chỉ: xã Nghĩa Phú, huyện Tư Nghĩa, tỉnh Quảng Ngãi (Nay là xã An Phú, tỉnh Quảng Ngãi) gồm:

* Quyền sử dụng đất: Diện tích đất: 195m²; Hình thức sử dụng: riêng; Mục đích, thời hạn sử dụng: Đất ở tại nông thôn, lâu dài; Nguồn gốc sử dụng: nhà nước giao đất có thu tiền sử dụng đất.

Thực trạng: diện tích đất theo đo đạc hiện trạng thực tế là 251,54m², tăng 56,54m² so với Giấy chứng nhận quyền sử dụng đất. Tổ chức hành nghề đấu giá không tổ chức đấu giá với phần diện tích tăng thêm này.

* Tài sản gắn liền với đất: Nhà ở có kết cấu chung: móng xây đá, đổ dầm bê tông cốt thép, tường xây gạch tô trát vữa, lăn sơn, trần bê tông cốt thép, khung sàn, mái bê tông cốt thép, lợp ngói chống nóng. Ngôi nhà xây dựng có 02 tầng trụ tay vịn lan can cầu thang làm bằng gỗ, cửa ra vào làm bằng gỗ bậc tam cấp lên xuống lót đá granit, nền lát gạch men. Cụ thể:

- Tầng trệt: cửa trước có 04 cánh cửa làm bằng gỗ cao 2,5m, rộng 3m; trần đổ bê tông cốt thép, nền lót gạch men, tường xi măng quét sơn và áp gạch men cao 01m. Có 01 phòng khách; 02 phòng ngủ cửa làm bằng gỗ; 01 bếp xây lót đá granit; nhà vệ sinh áp gạch men, nền gạch men, cửa bằng gỗ. Diện tích xây dựng khoảng 82,2m².

- Tầng trên: Lan can cầu thang làm bằng gỗ, lót đá granit, cửa trước làm bằng gỗ kinh, cao khoảng 2,5m, rộng 3m; trần đổ bê tông cốt thép, nền lát gạch men, tường xi măng quét sơn và áp gạch men cao 01m. Có 01 phòng thờ, bên hông làm bằng gỗ kinh, cao khoảng 2,5m, rộng 3m; 01 phòng ngủ cửa làm bằng gỗ, nhà vệ sinh áp gạch men, nền gạch men, cửa bằng gỗ. Các cửa bên hông làm bằng gỗ kính. Tổng diện tích mặt bằng xây dựng: 164,38 m².

- Mái hiên làm bằng tôn, sắt diện tích xây dựng 16,88m².

- Cổng trước nhà trụ xây gạch bê tông, cửa sắt cao 2,2m, dài 2m tường xây gạch tô xi măng trên dựng lăm cao 1,8m, có chiều dài 25,82m.

Tổng diện tích sàn của ngôi nhà: 223,5m².

Ngôi nhà được xây dựng vào năm 2006 và được Ủy ban nhân dân huyện Tư Nghĩa cấp giấy chứng nhận quyền sở hữu nhà ở số 3130/2009/QĐUB-GCN ngày 23/12/2009.

 (Theo Giấy chứng nhận quyền sử dụng đất, quyền sở hữu nhà ở và tài sản khác gắn liền với đất số: AM 872884; Số vào sổ cấp GCN: H 00349 do UBND huyện Tư Nghĩa cấp ngày 19/6/2008 cho bà Nguyễn Thị Hoa và theo Biên bản về việc tự nguyện bàn giao tài sản để thi hành án ngày 11/4/2025 giữa Chi cục Thi hành án dân sự huyện Tư Nghĩa, người được thi hành án, người phải thi hành án và các bên liên quan)

Giá khởi điểm không có thuế GTGT

Người có tài sản đấu giá chịu thuế thu nhập từ chuyển nhượng bất động sản (Cơ quan Thi hành án trích từ tiền bán đấu giá tài sản thành để nộp).

Người trúng đấu giá chịu toàn bộ các khoản thuế, phí, lệ phí còn lại và các chi phí khác phát sinh khi làm thủ tục chuyển nhượng quyền sử dụng đất, quyền sở hữu nhà ở.

CÔNG TY ĐẤU GIÁ HD RỒNG VIỆT
Số: 888/QC-RV
 
 
 
 
 
CỘNG HÒA XÃ HỘI CHỦ NGHĨA VIỆT NAM
Độc lập-Tự do-Hạnh phúc
Đà Nẵng, ngày 27 tháng 8 năm 2025

QUY CHẾ CUỘC ĐẤU GIÁ TRỰC TUYẾN

Căn cứ Bộ luật Dân sự năm 2015;

Căn cứ Luật Đấu giá tài sản năm 2016; Luật sửa đổi, bổ sung một số điều của Luật Đấu giá tài sản năm 2024;

Căn cứ Nghị định số 172/2024/NĐ-CP ngày 27/12/2024 quy định chi tiết một số điều của Luật Đấu giá tài sản số 01/2016/QH14 được sửa đổi, bổ sung một số điều theo luật số 37/2024/QH15;

Căn cứ Thông tư số 03/2025/TT-BTC ngày 22/01/2025 hướng dẫn về chế độ tài chính trong hoạt động đấu giá tài sản; quy định việc thu, chi, quản lý và sử dụng tiền bán hồ sơ mời tham gia đấu giá, tiền đặt trước của người tham gia đấu giá không được nhận lại theo quy định của pháp luật về đấu giá tài sản.

Mục 1

TÀI SẢN ĐẤU GIÁ

Điều 1. Thông tin về tài sản đấu giá

1. Tài sản đấu giá

Quyền sử dụng đất và tài sản gắn liền với đất tại thửa đất số 2340, tờ bản đồ số 03; địa chỉ: xã Nghĩa Phú, huyện Tư Nghĩa, tỉnh Quảng Ngãi (Nay là xã An Phú, tỉnh Quảng Ngãi) gồm:

* Quyền sử dụng đất: Diện tích đất: 195m²; Hình thức sử dụng: riêng; Mục đích, thời hạn sử dụng: Đất ở tại nông thôn, lâu dài; Nguồn gốc sử dụng: nhà nước giao đất có thu tiền sử dụng đất.

Thực trạng: diện tích đất theo đo đạc hiện trạng thực tế là 251,54m², tăng 56,54m² so với Giấy chứng nhận quyền sử dụng đất. Tổ chức hành nghề đấu giá không tổ chức đấu giá với phần diện tích tăng thêm này.

* Tài sản gắn liền với đất:

- Nhà ở có kết cấu chung: móng xây đá, đổ dầm bê tông cốt thép, tường xây gạch tô trát vữa, lăn sơn, trần bê tông cốt thép, khung sàn, mái bê tông cốt thép, lợp ngói chống nóng. Ngôi nhà xây dựng có 02 tầng trụ tay vịn lan can cầu thang làm bằng gỗ, cửa ra vào làm bằng gỗ bậc tam cấp lên xuống lót đá granit, nền lát gạch men. Cụ thể:

+ Tầng trệt: cửa trước có 04 cánh cửa làm bằng gỗ cao 2,5m, rộng 3m; trần đổ bê tông cốt thép, nền lót gạch men, tường xi măng quét sơn và áp gạch men cao 01m. Có 01 phòng khách; 02 phòng ngủ cửa làm bằng gỗ; 01 bếp xây lót đá granit; nhà vệ sinh áp gạch men, nền gạch men, cửa bằng gỗ. Diện tích xây dựng khoảng 82,2m².

+ Tầng trên: Lan can cầu thang làm bằng gỗ, lót đá granit, cửa trước làm bằng gỗ kinh, cao khoảng 2,5m, rộng 3m; trần đổ bê tông cốt thép, nền lát gạch men, tường xi măng quét sơn và áp gạch men cao 01m. Có 01 phòng thờ, bên hông làm bằng gỗ kinh, cao khoảng 2,5m, rộng 3m; 01 phòng ngủ cửa làm bằng gỗ, nhà vệ sinh áp gạch men, nền gạch men, cửa bằng gỗ. Các cửa bên hông làm bằng gỗ kính. Tổng diện tích mặt bằng xây dựng: 164,38 m².

+ Mái hiên làm bằng tôn, sắt diện tích xây dựng 16,88m².

+ Cổng trước nhà trụ xây gạch bê tông, cửa sắt cao 2,2m, dài 2m tường xây gạch tô xi măng trên dựng lăm cao 1,8m, có chiều dài 25,82m.

- Tổng diện tích sàn của ngôi nhà: 223,5m².

- Ngôi nhà được xây dựng vào năm 2006 và được Ủy ban nhân dân huyện Tư Nghĩa cấp giấy chứng nhận quyền sở hữu nhà ở số 3130/2009/QĐUB-GCN ngày 23/12/2009.

 (Theo Giấy chứng nhận quyền sử dụng đất, quyền sở hữu nhà ở và tài sản khác gắn liền với đất số: AM 872884; Số vào sổ cấp GCN: H 00349 do UBND huyện Tư Nghĩa cấp ngày 19/6/2008 cho bà Nguyễn Thị Hoa và theo Biên bản về việc tự nguyện bàn giao tài sản để thi hành án ngày 11/4/2025 giữa Chi cục Thi hành án dân sự huyện Tư Nghĩa, người được thi hành án, người phải thi hành án và các bên liên quan)

2. Giá khởi điểm: 1,782,000,000 đồng (Một tỷ, bảy trăm tám mươi hai triệu đồng) (Giá khởi điểm không có thuế GTGT).

Người có tài sản đấu giá chịu thuế thu nhập từ chuyển nhượng bất động sản (Cơ quan Thi hành án trích từ tiền bán đấu giá tài sản thành để nộp).

Người trúng đấu giá chịu toàn bộ các khoản thuế, phí, lệ phí còn lại và các chi phí khác phát sinh khi làm thủ tục chuyển nhượng quyền sử dụng đất, quyền sở hữu nhà ở.

3. Bước giá tối thiểu: 10,000,000 đồng (Mười triệu đồng).

Điều 2. Xem thông tin, hồ sơ pháp lý tài sản 

Thông tin tài sản, hồ sơ pháp lý, hình ảnh, video… giới thiệu tài sản đấu giá Quý khách hàng xem trực tiếp trên website đấu giá trực tuyến của Công ty Đấu ghợp danh Rồng Việt. Quý khách hàng tự kiểm tra, đối chiếu, tự liên hệ các cơ quan có thẩm quyền để tìm hiểu thêm các thông tin khác liên quan đến tài sản (nếu có) trước khi làm thủ tục đăng ký tham gia đấu giá.

Điều 3. Xem thực tế tài sản

Khách hàng có nhu cầu xem thực tế tài sản, mẫu tài sản liên hệ với Công ty Đấu giá hợp danh Rồng Việt để được hướng dẫn xem tài sản.

Tài sản hiện bán theo nguyên trạng thực tế. Khách hàng xem và kiểm tra thực tế, hiện trạng, chất lượng, tình trạng của tài sản trước khi đăng ký đấu giá.

Người có tài sản và Công ty Đấu giá hợp danh Rồng Việt không chịu trách nhiệm về sự nhầm lẫn, sai sót, thiếu sót…của khách hàng khi xem tài sản, hồ sơ pháp lý liên quan đến tài sản.

Địa điểm xem tài sản: tại thửa đất số 2340, tờ bản đồ số 03; địa chỉ: xã Nghĩa Phú, huyện Tư Nghĩa, tỉnh Quảng Ngãi (Nay là xã An Phú, tỉnh Quảng Ngãi).

Điều 4. Thời hạn xem tài sản, hồ sơ pháp lý tài sản đấu giá

Quý khách hàng xem tài sản, hồ sơ pháp lý tài sản đấu giá từ lúc 07 giờ 30 ngày 29/8/2025 đến 17 giờ 00 ngày 12/9/2025.

Trường hợp quý khách hàng cần liên hệ trực tiếp vui lòng liên hệ Công ty Đấu giá hợp danh Rồng Việt - Địa chỉ: 51 Phạm Văn Bạch, phường Hoà Cường, thành phố Đà Nẵng hoặc Chi nhánh tại Quảng Ngãi - Địa chỉ: 141 Lê Thánh Tôn, phường Cẩm Thành, tỉnh Quảng Ngãi - Điện thoại: 0968 891 427, trong giờ hành chính: từ thứ 2 đến thứ 7./.

Mục 2

ĐĂNG KÝ ĐẤU GIÁ

Điều 5. Cách thức đăng ký đấu giá

1. Đối với khách hàng đã có tài khoản đấu giá tại Công ty Đấu giá hợp danh Rồng Việt: Khách hàng vào tài khoản của mình, chọn tài sản đấu giá và chọn “ĐĂNG KÝ ĐẤU GIÁ”

2. Đối với khách hàng chưa có tài khoản (tức là khách hàng đăng ký đấu giá lần đầu): Khách hàng vào mục “Tài khoản” chọn “Đăng ký”, sau đó điền đầy đủ thông tin và chọn “ĐĂNG KÝ”.

3. Sau khi đăng ký tài khoản đấu giá thành công khách hàng vào tài khoản của mình để chọn tài sản mình muốn đăng ký đấu giá. Website đấu giá trực tuyến Công ty Đấu giá hợp danh Rồng Việt sẽ lưu thông tin đăng ký tài khoản của khách hàng để sử dụng cho những lần đăng ký đấu giá sau.

4. Thời hạn đăng ký đấu giá trực tuyến: Từ lúc 07 giờ 30 ngày 29/8/2025 đến 17 giờ 00 ngày 12/9/2025.

Điều 6. Tiền đặt trước

1. Khách hàng đăng ký đấu giá nộp số tiền đặt trước quy định tại Điều 39 Luật Đấu giá tài sản là: 356,400,000 đồng (Ba trăm năm mươi sáu triệu, bốn trăm nghìn đồng)/ 01 hồ sơ đăng ký.

Khách hàng nộp tiền đặt trước cho Công ty Đấu giá hợp danh Rồng Việt theo thông tin sau:

- Tên chủ tài khoản: Công ty Đấu giá hợp danh Rồng Việt;

- Số tài khoản: 09051562379 tại Ngân hàng TMCP Tiên Phong - Chi nhánh Đà Nẵng;

- Nội dung: Họ và tên người đăng ký đấu giá + Nộp tiền đặt trước đấu giá BĐS tại thửa đất số 2340, tờ bản đồ số 03 tỉnh Quảng Ngãi.

(Hoặc tài khoản khác do Công ty Đấu giá hợp danh Rồng Việt cung cấp)

2. Thời hạn nộp tiền đặt trước: Khách hàng hoàn thành việc nộp tiền đặt trước từ lúc 07 giờ 30 ngày 29/8/2025 đến 17 giờ 00 ngày 12/9/2025. Khách hàng phải tự tính toán thời gian để đảm bảo tiền đặt trước vào tài khoản của Công ty Đấu giá hợp danh Rồng Việt không quá thời hạn này. Mọi trường hợp trễ hạn vì bất kỳ lý do nào (trừ trường hợp bất khả kháng theo quy định pháp luật) đều không được tham gia phiên đấu giá.     

3. Đối với khách hàng không trúng đấu giá thì tiền đặt trước được trả lại trong thời hạn không quá 03 ngày làm việc sau khi kết thúc phiên đấu giá. Trường hợp chuyển khoản theo yêu của khách hàng thì khách hàng chịu phí chuyển khoản.

4. Đối với khách hàng trúng đấu giá thì khoản tiền đặt trước được chuyển thành tiền đặt cọc để bảo đảm thực hiện giao kết hoặc thực hiện hợp đồng mua bán tài sản đấu giá hoặc thực hiện nghĩa vụ mua tài sản đấu giá sau khi được cơ quan có thẩm quyền phê duyệt.

5. Đối với khách hàng vi phạm các quy định pháp luật về đấu giá tài sản mà bị thu tiền đặt trước theo quy định thì tiền đặt trước được giữ lại và xử lý theo quy định của pháp luật.

Điều 7. Tiền mua hồ sơ mời tham gia đấu giá

1. Khách hàng đăng ký đấu giá nộp tiền mua hồ sơ mời tham gia đấu giá: 400,000 đồng/01 bộ hồ sơ (Theo quy định tại Thông tư số 03/2025/TT-BTC ngày 22/01/2025 của Bộ Tài chính hướng dẫn về chế độ tài chính trong hoạt động đấu giá tài sản; quy định việc thu, chi, quản lý và sử dụng tiền bán hồ sơ mời tham gia đấu giá, tiền đặt trước của người tham gia đấu giá không được nhận lại theo quy định của pháp luật về đấu giá tài sản)

Khách hàng nộp tiền mua hồ sơ mời tham gia đấu giá một trong các cách sau:

- Nộp tại trụ sở hoặc chi nhánh của Công ty Đấu giá hợp danh Rồng Việt;

- Khách hàng chuyển khoản vào tài khoản của Công ty Đấu giá hợp danh Rồng Việt theo thông tin tài khoản tại Điều 6 của Quy chế.

2. Thời hạn nộp tiền mua hồ sơ mời tham gia đấu giá: Khách hàng hoàn thành việc nộp tiền mua hồ sơ từ lúc 07 giờ 30 ngày 29/8/2025 đến 17 giờ 00 ngày 12/9/2025. Đối với khách hàng chuyển khoản hoặc nộp tiền vào tài khoản thì phải tự tính toán thời gian để tiền mua hồ sơ vào tài khoản của Công ty Đấu giá hợp danh Rồng Việt không quá thời hạn này. Mọi trường hợp trễ hạn vì bất kỳ lý do nào (trừ trường hợp bất khả kháng theo quy định pháp luật) đều không được tham gia phiên đấu giá

3. Tiền mua hồ sơ mời tham gia đấu giá không trả lại cho người tham gia đấu giá (Trừ trường hợp không tổ chức phiên đấu giá hoặc có sự thay đổi về số lượng, chất lượng, giá khởi điểm tài sản, hình thức, phương thức đấu giá, thời gian tổ chức phiên đấu giá mà khách hàng không thể tiếp tục tham gia đấu giá).

Mục 3

PHIÊN ĐẤU GIÁ TRỰC TUYẾN

Điều 8. Hình thức, phương thức đấu giá

1. Hình thức đấu giá: Tổ chức đấu giá bằng hình thức đấu giá trực tuyến trên Website đấu giá trực tuyến của Công ty Đấu giá hợp danh Rồng Việt - Địa chỉ Website: https://daugiarongviet.vn/.

2. Phương thức đấu giá: Đấu giá theo phương thức trả giá lên, không hạn chế số lần trả giá đấu của khách hàng, giá thấp nhất bắt đầu từ giá khởi điểm tài sản.

3. Sau mỗi lần khách hàng trả giá đấu, hệ thống sẽ tự động cộng với bước giá tối thiếu (nếu có) để hiển thị giá thấp nhất phải trả tiếp theo. Khách hàng trả giá đấu kế tiếp không được thấp hơn mức quy định này. Trường hợp khách hàng trả thấp hơn mức giá quy định này là giá không hợp lệ.

Điều 9. Thời gian đấu giá

Phiên đấu giá diễn ra liên tục, khách hàng có thể trả giá đấu bất cứ thời gian nào trong khoảng thời gian đấu giá. Thời gian bắt đầu từ lúc 09 giờ 30 đến 10 giờ 00 ngày 17/9/2025.

Điều 10. Cấp mật khẩu vào phòng đấu giá

1. Sau khi khách hàng hoàn thành thủ tục đăng ký đấu giá, nộp tiền đặt trước, tiền mua hồ sơ mời tham gia đấu giá, Công ty Đấu giá hợp danh Rồng Việt cấp MẬT KHẨU cho khách hàng để vào Phòng đấu giá.

Mật khẩu Phòng đấu giá được gửi qua email hoặc nhắn tin điện thoại cho khách hàng. Khách hàng có nghĩa vụ tự BẢO MẬT mật khẩu đấu giá của mình và tự chịu trách nhiệm về tính bảo mật đó.

2. Trong trường hợp khách hàng nghi ngờ mật khẩu bị lộ hoặc khách hàng quên mật khẩu thì thông báo ngay cho Công ty Đấu giá hợp danh Rồng Việt để cấp lại mật khẩu cho khách hàng.

3. Trong bất kỳ tình huống nào khách hàng để cho người khác sử dụng mật khẩu vào phòng đấu giá thì khách hàng phải chịu toàn bộ trách nhiệm, nghĩa vụ phát sinh do người khác gây ra khi sử dụng mật khẩu đấu giá của mình.

Điều 11. Vào Phòng đấu giá  

Khách hàng lựa chọn một trong các cách sau đây để vào Phòng đấu giá:

 - Cách 1: Đăng nhập tài khoản đấu giá của mình và chọn mục “Đấu giá đang tham gia”, chọn tài sản mà khách hàng đang tham gia đấu giá và nhập mật khẩu để vào Phòng đấu giá.

- Cách 2: Chọn mục: “Phòng đấu giá của bạn” và nhập mật khẩu để vào Phòng đấu giá.

- Cách 3: Trên trang chủ của website, chọn tài sản khách hàng đã đăng ký đấu giá, nhấn nút “Vào phòng đấu giá”, nhập mật khẩu để vào Phòng đấu giá.

Điều 12. Đấu giá trực tuyến

1. Trong giao diện của “PHÒNG ĐẤU GIÁ”, khách hàng được xem lại thông tin tài sản, mức giá khởi điểm và mức giá đã được các khách hàng đấu đến thời điểm hiện tại, thời hạn còn lại của phiên đấu giá…

2. Khách hàng nhập mức giá mình muốn đấu vào ô “Giá của bạn”, mức giá có thể trả số lẻ đơn vị từng đồng. Mức giá khách hàng trả không được thấp hơn GIÁ HIỆN TẠI. Khách hàng có quyền trả mức giá cao không hạn chế.

3. Khách hàng có thể trả giá đấu nhiều lần cho đến khi khách hàng không có nhu cầu đấu giá tiếp hoặc đến khi kết thúc phiên đấu giá.

4. Khách hàng trúng đấu giá là khách hàng có MỨC GIÁ ĐẤU HỢP LỆ CAO NHẤT được hệ thống Website đấu giá trực tuyến ghi nhận tại thời điểm kết thúc phiên đấu giá.

5. Kết quả phiên đấu giá được đăng công khai trên Website đấu giá trực tuyến của Công ty Đấu giá hợp danh Rồng Việt; được gửi vào địa chỉ email hoặc tin nhắn điện thoại của khách hàng ngay sau khi công bố người trúng đấu giá trên hệ thống đấu giá trực tuyến.

Điều 13. Xử lý các phát sinh của phiên đấu giá trực tuyến  

1. Khách hàng phải thật sự chú ý trước khi trả mức giá đấu để tránh nhầm lẫn, sai sót. Khi hệ thống đấu giá trực tuyến ghi nhận khách hàng trả giá đấu thành công thì khách hàng không được rút lại giá đã trả vì bất cứ lý do nào.

2. Khi tham gia trả giá đấu, khách hàng phải trong tình trạng tỉnh táo, có đầy đủ năng lực hành vi dân sự. Khách hàng đấu giá trong tình trạng không tỉnh táo hoặc bị hạn chế năng lực hành vi dân sự do sử dụng rượu, bia, chất kích thích khác mà không thuộc trường hợp mất hoặc hạn chế năng lực hành vi do bất khả kháng theo quy định pháp luật thì khách hàng phải tự chịu trách nhiệm với việc đấu giá của mình. Trong trường hợp khách hàng để xảy ra vi phạm khi tham gia đấu giá thì Công ty Đấu giá hợp danh Rồng Việt sẽ căn cứ vào quy định pháp luật đấu giá tài sản, Quy chế cuộc đấu giá để xử lý.

3. Trong trường hợp kết thúc phiên đấu giá mà có từ 02 người trở lên có cùng mức giá đấu cao nhất thì khách hàng trúng đấu giá là khách hàng trả mức giá đấu cao nhất đầu tiên được hệ thống đấu giá trực tuyến ghi nhận.

4. Trường hợp khách hàng có mức giá đấu cao nhất rút lại giá đã trả trước khi kết thúc thời hạn đấu giá thì phiên đấu giá vẫn tiếp tục và bắt đầu từ giá cao liền kề trước đó. Khách hàng rút lại giá đã trả bị truất quyền đấu giá tại phiên đấu giá đó.

5. Trong trường hợp phát sinh lỗi kỹ thuật dẫn đến khách hàng không đăng ký được tài khoản, không làm được thủ tục đăng ký đấu giá, không trả được giá đấu…thì khách hàng được gia hạn thêm thời gian để tham gia đấu giá. Thời gian gia hạn bằng với thời gian phát sinh lỗi kỹ thuật.

Trong trường hợp phát sinh lỗi kỹ thuật kéo dài hoặc chưa thể sớm khắc phục được thì phiên đấu giá sẽ được tổ chức lại. Khách hàng muốn tiếp tục đấu giá thì sẽ được tham gia phiên đấu giá lại, khách hàng không muốn tiếp tục đấu giá thì sẽ được trả lại tiền đặt trước, tiền mua hồ sơ mời tham gia đấu giá đã nộp.  

Điều 14. Từ chối kết quả trúng đấu giá

1. Trong trường hợp kết thúc phiên đấu giá trực tuyến và đã xác nhận khách hàng trúng đấu giá mà khách hàng từ chối kết quả trúng đấu giá thì khách hàng có mức giá cao liền kề (cao thứ hai) là người trúng đấu giá nếu giá liền kề cộng với tiền đặt trước không thấp hơn giá của người chối kết quả trúng đấu giá.

2. Trong trường hợp giá cao liền kề cộng với tiền đặt trước thấp hơn giá người từ chối trúng đấu giá hoặc khách hàng có giá cao liền kề không đồng ý mua thì cuộc đấu giá không thành. Việc đấu giá sẽ tổ chức lại, khách hàng tham gia đấu giá phải làm lại thủ tục đăng ký đấu giá như lần đầu.

Điều 15. Xử lý các vi phạm của người tham gia đấu giá

1. Những trường hợp vi phạm sau đây sẽ không trả lại tiền đặt trước:

a) Không đăng nhập vào phòng đấu giá trong thời hạn tổ chức phiên đấu giá (trừ trường hợp bất khả kháng theo quy định pháp luật)

b) Bị truất quyền tham gia đấu giá do có hành vi vi phạm quy định tại khoản 5 Điều 9 Luật Đấu giá tài sản gồm:

-  Cung cấp thông tin, tài liệu sai sự thật; sử dụng giấy tờ giả mạo để đăng ký tham gia đấu giá, tham gia phiên đấu giá;

-  Thông đồng, móc nối với đấu giá viên, tổ chức hành nghề đấu giá tài sản, người có tài sản đấu giá, người tham gia đấu giá khác, cá nhân, tổ chức khác để dìm giá, nâng giá, làm sai lệch kết quả đấu giá tài sản;

-  Cản trở hoạt động đấu giá tài sản; gây rối, mất trật tự tại phiên đấu giá;

-  Đe dọa, cưỡng ép đấu giá viên, người tham gia đấu giá khác nhằm làm sai lệch kết quả đấu giá tài sản;

- Nhận ủy quyền tham gia đấu giá của người tham gia đấu giá khác đối với tài sản mà mình cũng là người tham gia đấu giá tài sản đó; nhận ủy quyền tham gia đấu giá của từ hai người tham gia đấu giá trở lên đối với cùng một tài sản;

- Tham dự phiên đấu giá trong trường hợp vợ, chồng, anh ruột, chị ruột, em ruột cũng là người tham gia đấu giá đối với tài sản đó;

- Tham dự phiên đấu giá trong trường hợp công ty mẹ, công ty con, các doanh nghiệp mà cá nhân, tổ chức hoặc nhóm cá nhân, tổ chức có khả năng chi phối hoạt động của doanh nghiệp theo quy định của pháp luật về doanh nghiệp cũng là người tham gia đấu giá đối với tài sản đó;

-  Các hành vi bị nghiêm cấm khác theo quy định của luật có liên quan.

c) Từ chối ký biên bản đấu giá theo quy định tại khoản 3 Điều 44 của Luật Đấu giá tài sản.

d) Rút lại giá đã trả hoặc giá đã chấp nhận theo quy định tại Điều 50 của Luật Đấu giá tài sản.

đ) Từ chối kết quả trúng đấu giá theo quy định tại Điều 51 của Luật Đấu giá tài sản.

e) Không thanh toán đủ tiền trúng đấu giá đúng thời hạn quy định.

g) Vi phạm những cam kết, quy định khác khi tham gia phiên đấu giá mà theo quy định thuộc trường hợp không trả lại tiền đặt trước.

2. Đối với những trường hợp có dấu hiệu về vi phạm các quy định tại Khoản 1, Điều 15 của Quy chế này thì Tổ chức hành nghề đấu giá căn cứ theo quy định của pháp luật sẽ đề nghị cơ quan có thẩm quyền xem xét xử lý theo quy định, đồng thời tạm giữ tiền đặt trước của người tham gia đấu giá cho đến khi có kết quả giải quyết của cơ quan có thẩm quyền.

3. Ngoài việc bị thu tiền đặt trước theo quy định tại khoản 1 Điều này, người tham gia đấu giá phải bồi thường các thiệt hại xảy ra, chịu phạt vi phạm hợp đồng… theo quy định pháp luật.

Tùy theo tính chất, mức độ vi phạm, người tham gia đấu giá còn bị xử phạt vi phạm hành chính hoặc bị truy cứu trách nhiệm hình sự theo quy định pháp luật.

Mục 4

THANH TOÁN, GIAO TÀI SẢN, CHUYỂN QUYỀN SỞ HỮU

 TÀI SẢN TRÚNG ĐẤU GIÁ

Điều 16. Thanh toán tiền trúng đấu giá

1. Thời hạn thanh toán: người trúng đấu giá thanh toán tiền mua tài sản (đã trừ tiền đặt cọc) trong vòng 30 ngày kể từ ngày đấu giá thành.

2. Phương thức thanh toán: Thanh toán bằng cách nộp tiền mặt hoặc chuyển khoản vào tài khoản của người có tài sản đấu giá.

Quá thời hạn thanh toán tiền mua tài sản nêu trên mà người trúng đấu giá tài sản chưa thanh toán đủ 100% tiền mua tài sản thì hủy bỏ kết quả trúng đấu giá, người trúng đấu giá chịu mất tiền đặt cọc, chịu phạt vi phạm hợp đồng, bồi thường các thiệt hại xảy ra theo quy định của pháp luật.

3. Ngoài tiền trúng đấu giá tài sản, người trúng đấu giá phải chịu thêm các khoản thuế, phí, chi phí đã quy định ở Điều 1 Quy chế này (nếu có).

Điều 17. Thời hạn, địa điểm, phương thức và trách nhiệm của người trúng đấu giá khi nhận tài sản bàn giao

1. Thời hạn giao tài sản: Không quá 60 ngày kể từ ngày người trúng đấu giá đã thanh toán đủ tiền mua tài sản, trường hợp giao tài sản gặp khó khăn, phức tạp… thì thời hạn giao tài sản thực hiện theo quy định của Luật Thi hành án dân sự.

2. Địa điểm giao tài sản: tại nơi có tài sản đấu giá.

3. Phương thức nhận tài sản:

- Người có tài sản đấu giá trực tiếp giao tài sản cho người trúng đấu giá. Công ty thông báo cho người trúng đấu giá về thời gian, địa điểm giao tài sản.

- Tài sản được giao cho người trúng đấu giá theo hiện trạng thực tế hiện có của tài sản đấu giá.

4. Chuyển quyền sở hữu cho người trúng đấu giá: Người trúng đấu giá tự làm thủ tục chuyển quyền sở hữu, quyền sử dụng tài sản, nộp các khoản thuế, phí, lệ phí… theo quy định. Trường hợp phát sinh các vướng mắc trong việc làm thủ tục chuyển quyền sở hữu thì người mua liên hệ người có tài sản đấu giá, cơ quan có thẩm quyền và chủ sở hữu tài sản để xử lý.

- Người trúng đấu giá phải trực tiếp liên hệ đến cơ quan Nhà nước cấp có thẩm quyền để thực hiện việc đăng ký chuyển quyền sở hữu, quyền sử dụng tài sản đúng thời hạn quy định. Trường hợp người trúng đấu giá vi phạm việc đăng ký chuyển quyền sở hữu, sử dụng tài sản; không thực hiện việc đăng ký chuyển quyền sở hữu, sử dụng tài sản mà vẫn sử dụng tài sản và hồ sơ của tài sản trúng đấu giá để lưu hành, tham gia vào các giao dịch trên thị trường thì người mua được tài sản đấu giá phải chịu hoàn toàn trách nhiệm và nếu gây ra thiệt hại thì phải bồi thường theo quy định của pháp luật.

Điều 18. Quyền, nghĩa vụ của khách hàng tham gia đấu giá

1. Quyền của khách hàng tham gia đấu giá

- Khách hàng tham khảo hồ sơ pháp lý, thông tin tài sản, xem Quy chế cuộc đấu giá trực tuyến và các thông tin liên quan đến tài sản đấu giá tại website đấu giá trực tuyến;

- Khách hàng cần xem thực tế tài sản, mẫu tài sản, hồ sơ pháp lý…sẽ được Công ty Đấu giá hợp danh Rồng Việt hướng dẫn xem trước khi đăng ký đấu giá;

- Các vấn đề khách hàng chưa rõ liên quan đến tài sản, hồ sơ, pháp lý tài sản, thủ tục tham gia đấu giá, các quy định pháp luật về đấu giá…khách hàng liên hệ Công ty Đấu giá hợp danh Rồng Việt để giải đáp cho khách hàng trước khi khách hàng đăng ký tham gia đấu giá;

- Người trúng đấu giá sẽ được đảm bảo ký kết Biên bản đấu giá; ký Hợp đồng mua bán tài sản đấu giá; giao đầy đủ các hồ sơ, giấy tờ liên quan đến tài sản đấu giá được thông tin lại Quy chế này;

- Khách hàng trúng đấu giá được người có tài sản đấu giá giao đầy đủ tài sản theo đúng nguyên trạng tài sản khi tổ chức đấu giá. Thời hạn giao tài sản đúng theo các cam kết đã thông tin cho khách hàng.

2. Nghĩa vụ của người tham gia đấu giá

- Khách hàng phải xem tài sản, các giấy tờ pháp lý tài sản, nội dung Quy chế cuộc đấu giá trực tuyến và các văn bản liên quan khác trước khi làm thủ tục đăng ký, nộp tiền đặt trước, tiền mua hồ sơ mời tham gia đấu giá; ký cam kết trước khi tham gia đấu giá. Trường hợp khách hàng chưa thực hiện hoặc có nhầm lần, sai sót thì khách hàng tự chịu trách nhiệm;

- Khách hàng chịu trách nhiệm tự bảo mật tài khoản đấu giá, mật khẩu vào Phòng đấu giá của khách hàng;

- Khách hàng tham gia đấu giá phải tuân thủ sự điều hành của Đấu giá viên điều hành phiên đấu giá trực tuyến; tuân thủ các quy định pháp luật đấu giá tài sản và quy định của Quy chế cuộc đấu giá này.

Mục 5

CÁC CAM KẾT, ĐẢM BẢO ĐỐI VỚI TÀI SẢN ĐẤU GIÁ

Điều 19. Các cam kết của người có tài sản đấu giá

1. Đảm bảo giao tài sản cho người trúng đấu giá đúng nguyên trạng tài sản khi tổ chức đấu giá, giao tài sản đúng thời hạn cam kết theo Quy chế cuộc đấu giá.

2. Đảm bảo việc giao hồ sơ, tài liệu theo liệt kê tại Quy chế này cho người mua trúng đấu giá để làm thủ tục chuyển nhượng quyền sở hữu, quyền sử dụng tài sản.

3. Bồi thường thiệt hại xảy ra khi giao tài sản không đúng với cam kết, vi phạm các quy định về mua bán tài sản, quy định pháp luật đấu giá tài sản.

Điều 20. Các quy định đối với tổ chức hành nghề đấu giá

1. Tổ chức đấu giá theo đúng quy định của Luật Đấu giá tài sản và các quy định pháp luật có liên quan.

2. Tạo điều kiện thuận lợi cho khách hàng tham gia đấu giá theo quy định pháp luật về đấu giá tài sản và quy định tại Quy chế này.

3. Thực hiện đúng nội dung Hợp đồng đã ký kết với người có tài sản đấu giá.

4. Đảm bảo quyền, lợi ích hợp pháp của khách hàng tham gia đấu giá

5. Ghi chép đầy đủ nội dung diễn biến của phiên đấu giá.

6. Trong quá trình tổ chức đấu giá tài sản, nếu phát hiện hành vi thông đồng, dìm giá, thỏa hiệp của khách hàng tham gia đấu giá thì Công ty dừng tổ chức đấu giá, lập biên bản về hành vi vi phạm, tạm giữ tiền đặt trước của những người vi phạm và kiến nghị cơ quan có thẩm quyền để xử lý theo quy định pháp luật.

Mục 6

ĐIỀU KHOẢN THI HÀNH

Điều 21. Các quy định khác

1. Trường hợp có những nội dung, sự kiện phát sinh ngoài quy định của Quy chế này thì áp dụng các quy định pháp luật về đấu giá tài sản và các quy định pháp luật có liên quan.

2. Những sự kiện, tình huống không có trong quy định của pháp luật hoặc Quy chế này sẽ do Công ty Đấu giá hợp danh Rồng Việt quyết định theo thông lệ hoặc áp dụng tương tự các quy định pháp luật.

3. Quy chế này đã được người có tài sản đấu giá thống nhất trước khi Công ty Đấu giá hợp danh Rồng Việt ban hành và đã được thông báo, niêm yết công khai theo quy định pháp luật đấu giá tài sản.

4. Đấu giá viên, thành viên giúp việc phiên đấu giá, nhân viên của Công ty Đấu giá hợp danh Rồng Việt phối hợp với các bên liên quan hướng dẫn cho khách hàng thực hiện các quy định của Quy chế này.

Điều 22. Hiệu lực của Quy chế

1. Quy chế có hiệu lực kể từ ngày ký.

2. Quy chế này là cơ sở cho việc thực hiện các quy trình, thủ tục đấu giá, giao dịch trong việc mua, bán tài sản đấu giá bằng hình thức đấu giá trực tuyến./.

GIÁM ĐỐC

(Đã ký)

Nguyễn Thanh Sơn

Nội dung hồ sơ pháp lý

Đang đấu giá
Đối tác của chúng tôi